Tontteja myynnissä erinomaisella sijainnilla Rukalla
Nauti luonnosta, panosta hyvinvointiin, tee etätöitä. Rauhassa, mutta palvelut lähellä.
Ruka-Soukkelon alueella on nyt erinomainen tilaisuus toteuttaa unelmasi.
Myynnissä tontteja alueella, jolla on valmiina kunnallistekniikka tonttien rajalla sekä valaistut tiet.
Sijainti tarjoaa huikeat mahdollisuudet nauttia vapaa-ajasta luonnossa liikkuen, talvella hiihtoladulle ja kelkkareiteille pääsee helposti.
Ruka-Soukkelon alue sijaitsee Rukajärventien varrella, 4,50 km Rukatunturilta Kuusamon keskustan suuntaan.
Kuusamon lentokenttä on parinkymmenen minuutin ajomatkan päässä.
Bussit kulkevat päivittäin alueelle.
Tieyhteydet ovat erinomaisia kaikkialta Suomesta.
Hiihtobussi kulkee myös alueen vierestä.
Lisätietoja Tiia Alatossava
050-3117745
tiia.alatossava@lapinarvokiinteistot.fi

Kohdetta myy

96100 Rovaniemitoimisto@lapinarvokiinteistot.fi050 311 7746
Esittely
Perustiedot
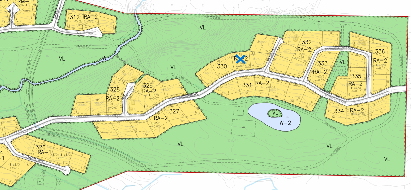
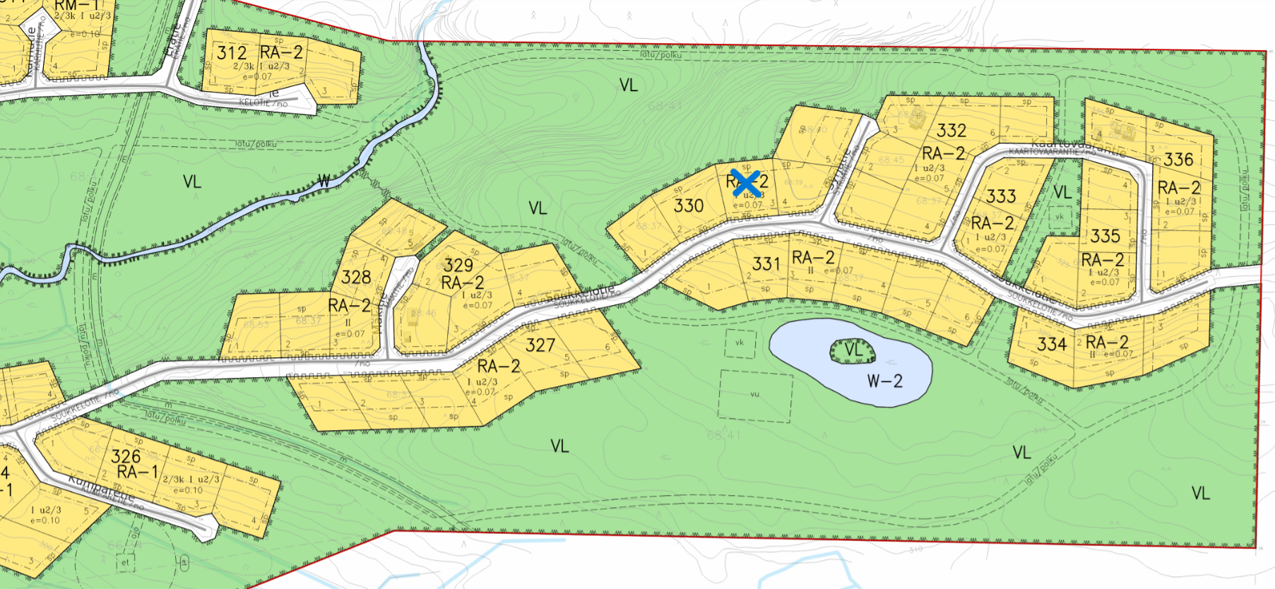
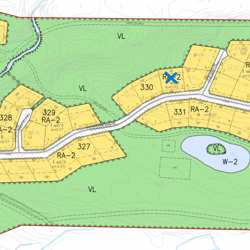
Soukkelotie 330 tontti 3
93830 Kuusamo

